HD

Höftledsdysplasi, HD

HD är en felaktig utveckling av höftleden och en relativt vanlig skelettrubbning hos många hundraser, så även Breton.

Risken för att en hund ska utveckla HD är betingat av såväl arv som miljö, arvsgången är komplex (kvantitativ). Detta innebär bland annat att även hundar med normala höftleder (grad A eller B) kan producera avkommor som utvecklar HD.

Risken för att hund med normala höftleder ska producera avkomma som utvecklar HD ökar om dess föräldrar och/eller syskon har HD.

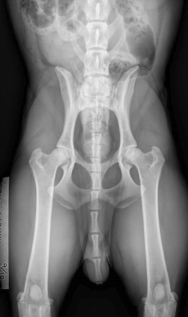
Rubbningen i ledens utveckling äger rum under hundens uppväxttid. Först när skelettet vuxit färdigt kan man bedöma höftledernas utseende med hjälp av röntgen.
För officiell röntgen gäller att bretonen är minst 12 månader gammal.

 

Gradering av höftledsstatus


Gradering av höftledsstatus sker enligt normer fastställda av Fédération Cynologique Internationale, FCI. Normerna bygger på dels passform mellan höftledskula och höftledsskål, dels på djupet av skålen dvs. hur djupt höftledskulan ligger inne i skålen. Lederna graderas i 5 grupper:

A – normala höftleder grad A
B – normala höftleder grad B
C – lindrig dysplasi
D – måttlig dysplasi
E – höggradig dysplasi

 

Beställ röntgenavläsning


Ska du röntga din hund? Innan du går till veterinären måste du beställa en avläsning av röntgenbilderna hos SKK. Direktlänk till HD-beställningen har du ovan. 

A Höfter

HÄLSA HD-diagnoser uppdaterat 2025-01-03

Image (2)
Image (3)
Image (4)

 I en liten ras är det statistiska underlaget för litet för säkra slutsatser. Slumpen ger stora svängningar år från år. Diagrammet nedan visar vad föräldradjurens HD-kombinationer har gett på sina avkommor, alla svenskfödda, röntgade (officiella) valpar är med även de som är röntgade i utlandet. Man ser tydligt att ju bättre höfter föräldradjuren har desto bättre höfter får avkommorna.

Image (5)

Kull-index har vi ju inte haft så länge, men diagrammet nedan visar vad olika intervaller kull-index har gett för HD-resultat på röntgade avkommor (även avkommor som är röntgade i ett annat land). 
Där en utländsk hane som inte har ett svenskt index har använts, så har hans utländska index använts (kanske inte helt rätt men det blir ett större statistiskt underlag och nästan rätt).

Diagrammet visar 4 års användande av kullindex och alldeles för få valpar är röntgade för att man skall kunna se ett tydligt mönster, exempelvis så visar kull-index som ligger mellan 95–99 ett mycket bra resultat. Så lite kritiskt tänkande kan nog vara på sin plats.

Image (6)

För flera parningar anger SKK att den ena partens HD-status är okänt. Detta beror på att de utländska täckdjurens HD-diagnos inte alltid registreras av SKK. Med ett enda undantag (2011) har de utländska avelshannarna som använts HD A eller B enligt FCI resp. Excellent, Good eller Fair enligt OFA (den amerikanska klassifikationen).

Åren 2020–2022 ses en ökning där ena partnern har HD:C. Det kanske kan kopplas till att vi tillät hundar med HD:C komma upp i kategori 1 år 2020? Och tog bort det igen 2023??
År 2020 fick vi HD-index på Breton, vi tror att det är ett bra hjälpmedel i arbetet för att få bättre höfter på våra Bretoner. Endast 14 av 77 valpkullar födda under 2020–2023 har ett kull-index som understiger 100. 
Referenspopulationen för HD-index ändras när det blir nytt år. Nu är det år 2019–2023 som gäller och genomsnittet ligger som alltid på 100.