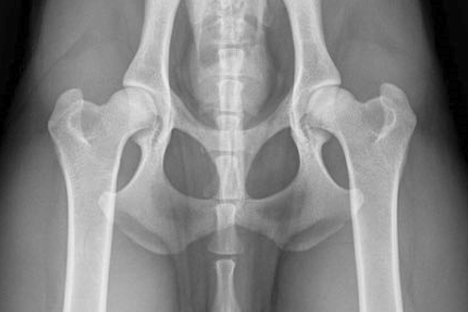
Hälsa HD Höftledsdysplasi är en felaktig utveckling av höftleden LTV Övergångskota – Lumbosacral Transitional Vertebrae (LTV) - är en missbildning i ryggslutet Katarakt Grå Starr inom Bretonrasen i Sverige Hälsa-allmänt Hälsobeskrivning generellt i rasenoch förekomst av hälsoproblem Avelsstrategi RAS - Rasspecifik Avelsstrategi Uppfödare Hitta Uppfödare som tillhör Bretonklubben Aktuella kullar Här hittar du planerade och födda valpkullar inom Bretonklubben Hanhundslista Lista på alla svenska meriterade Breton-hanhundar